À Vendre

138 000 $

+TPS/TVQ

Rue Michel , Saint-Colomban, QC J5K2J4

Remarques

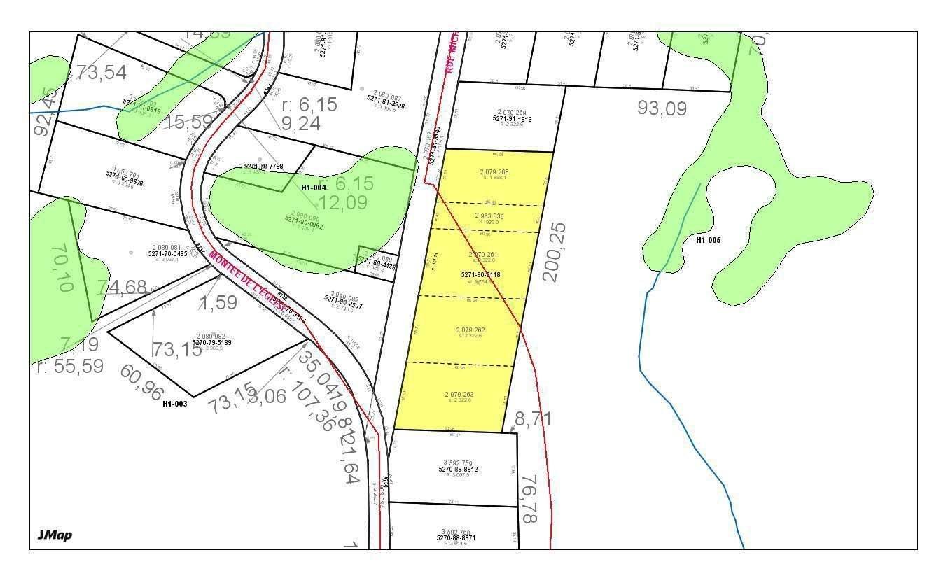
4 superbes terrains offrant une belle topographie et un accès facile par la montée de l'Église. Situés dans un secteur paisible, ils sont idéals pour la construction de maisons unifamiliales. Proximité des services, écoles et commodités. À seulement 15 minutes du centre-ville et 20 minutes de Saint-Jérôme. Le 5e lot, de plus petite superficie, doit être combiné à un autre terrain.

Aucun plan de l'immeuble ne sera fourni autre que celui publié au registre foncier
Les terrains sont vendus ensembles.
Le montant des taxes ainsi que la superficie inclus 5 terrains
2079263: 2322.6 m2
2079262: 2322.6 m2
2079261: 2322.6 m2
2963036: 929 m2 (Doit être combiné avec le lot 2079268)
2079268: 1858.1 m2
La rue Michel appartient à la Ville, mais n'est pas encore ouverte selon les normes municipales en vigueur. L'acheteur devra prévoir que l'ouverture et la mise aux normes de la rue pourraient nécessiter des démarches et/ou coûts supplémentaires, lesquels seront entièrement à sa charge.

Les grilles de zonage applicables (H1-004 et H1-005) Ces documents précisent notamment :

Grille H1-004 : Usages permis -- habitation unifamiliale et jumelée.

Grille H1-005 : Usages permis -- habitation unifamiliale.

Explication des notes réglementaires

(2) Services de repas et dégustation de produits locaux
Possibilité d'offrir des services de restauration de type « produits locaux » (ex.: tables champêtres, dégustation de produits de la ferme, micro-transformateurs), sous réserve des conditions fixées par le règlement du chapitre 12 (superficie, permis, conformité sanitaire, etc.).

(3) Auberges-nature avec restauration
Autorisation d'exploiter des hébergements de type auberge situés en milieu naturel, incluant un service de restauration. Les conditions du chapitre 12 s'appliquent (nombre de chambres, capacité, stationnement, intégration au milieu).

(4) Fermettes
Le zonage permet les fermettes, soit de petites exploitations agricoles à vocation mixte (ex. : culture maraîchère, petits élevages, ruches). Le chapitre 12 encadre ces usages pour éviter des pratiques agricoles intensives incompatibles avec le voisinage résidentiel.

(6) Bed and Breakfast (gîte touristique)
Exploitation d'un gîte touristique (« bed and breakfast ») possible dans la résidence principale, sous réserve d'obtenir les permis requis (CITQ, municipalité). Le chapitre 12 encadre les critères (nombre de chambres, stationnement, superficie, sécurité).

(8) Coupes forestières autorisées (zone H1-005)
Seules les coupes d'assainissement (élimination des arbres malades ou dangereux) et les opérations sylvicoles (éclaircies, reboisement, aménagement durable) sont permises. L'exploitation forestière commerciale ou intensive est interdite.

(35) Règlement de lotissement n° 600
Les dimensions minimales des terrains (superficie, largeur, profondeur) sont prescrites dans le règlement de lotissement n° 600 (et ses amendements). Même si un usage est permis, un projet pourrait être refusé si le terrain ne respecte pas ces critères.

ll est de la responsabilité de l'acheteur de vérifier auprès de la municipalité la conformité de son projet, les usages autorisés, ainsi que toute exigence ou restriction applicable, notamment en matière de lotissement, d'implantation des bâtiments, de services municipaux et d'aménagement futur de la rue.

Résumé de la propriété

  • Évaluation du terrain : 84 800,00 $
  • Évaluation de l'immeuble : 1,00 $
  • Évaluation totale : 84 801,00 $
  • Année d'évaluation : 2025
  • Taxes municipales : 597,00 $
  • Taxe scolaire : 39,00 $
  • Taxes annuelles totales : 636,00 $ (2025)
  • Largeur du terrain en façade : 161.74 Mètre
  • Profondeur du terrain : 60.96 Mètre
  • Dimensions du terrain : 9754.9 Mètres carrés
  • Zonage : RESI

Caractéristiques du bâtiment :

  • Approvisionnement en eau:
    Aucun
  • Proximité:
    Garderie/CPE , Golf , Parc , École primaire , École secondaire
  • Système d'égouts:
    Aucun
  • Terrain:
    Boisé
  • Topographie:
    En pente

Inscription du bureau: 

Isabelle Legaré Courtier immobilier résidentiel  ,  Luc Girard - Courtier Immobilier

Style de vie
Information du quartier
Luc Girard

Luc Girard

Courtier Immobilier

Téléphone :  450.566.5555

Cellulaire :  514.887.9419

Télécopieur :  450.566.0119

logo

Royal LePage Humania, Agence immobilière (Franchisé indépendant et autonome)

232 AVENUE Bethany
Lachute,  QC J8H2M8

Obtenir plus de renseignements

Obtenir plus de renseignements

Réserver votre visite